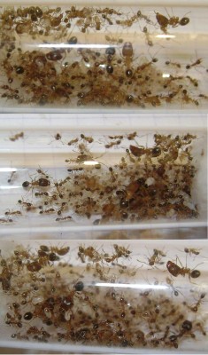
Hi all. Just catched those small colonyes under stone.
Someone have idea about specie?
Ameisenforum zur Haltung von Ameisen in einer Ameisenfarm, Formicarien






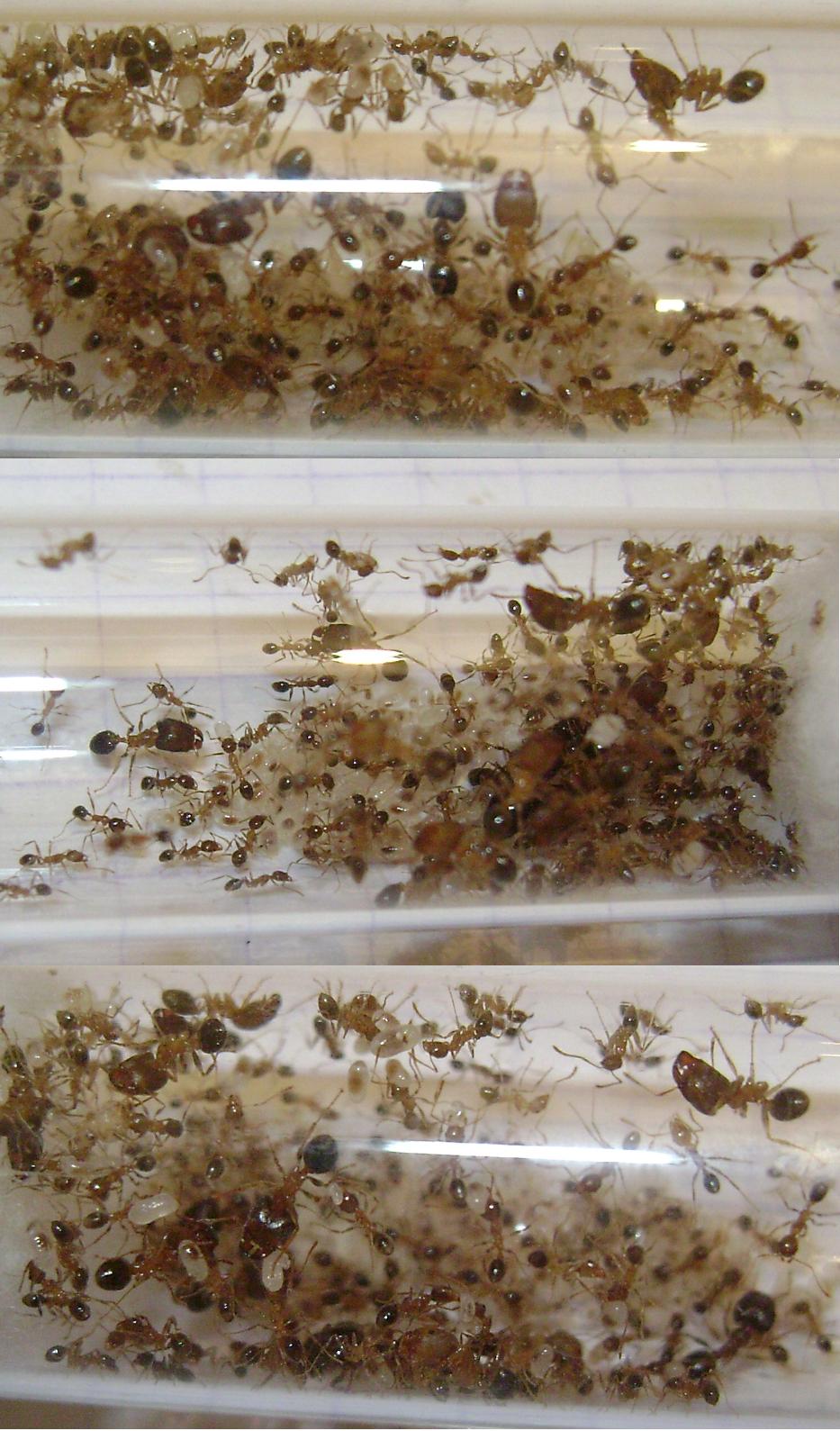
Skippy hat geschrieben:Remember you cannot identify palidula by color ! , it has not that same colour everywhere , pallidula is specific , its color depends on locality - somewhere dark brown , elsewhere light brown , orange-brown up to yellow etc...














Zurück zu Help to identify ant species
Mitglieder in diesem Forum: 0 Mitglieder und 0 Gäste