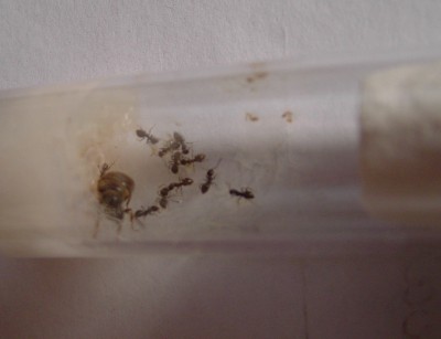
Habe eine handvoll Königinnen gefunden und in Reagenzgläser getan.
Mittlerweile sind bei den meisten auch etliche Eierpakete gelegt und einige Ameisen geschlüpft.
Jetzt wollte ich euch fragen, ob ihr mir sagen könnt, um welche Art es sich handelt, evtl. mit der Unterfamilie.
Ich vermute ja Lasius sp. vermutlich niger, aber auf dem Gebiet bin ich leider nicht sehr versiert.
Besser Bilder kann ich leider keine abliefern, da meine Digicam an ihre Grenzen stösst.
Ich hoffe, ihr könnt mir helfen.
Vielen Dank






und Antstore hat auch noch mitgemischt! Das is ja zu geil!!