Es ist angerichtet

Ameisenforum zur Haltung von Ameisen in einer Ameisenfarm, Formicarien

















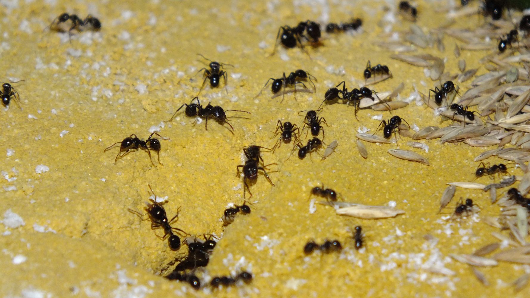
Sind bis jetzt wirklich schon einige.. Im Februar habe ich meine Gyne bekommen, das sind gerade mal 5 Monate her 







ich bin zufrieden mit meinen Kleinen! Sie haben alle ihr bestes gegeben und es zu einem stolzen kleinen Volk geschafft











habe einen kleinen Blick gewagt und meinen Augen nicht getraut..

Ist leider nicht von unten, aber ich konnte mal ein Teil wieder in die untere Kammer locken !



Zurück zu Foto und Video Beiträge
Mitglieder in diesem Forum: 0 Mitglieder und 0 Gäste