Lasius spc. - Gründungsbericht

Informationen, Haltungsberichte und Fotobeiträge

Lasius spc. - Gründungsbericht

Beitragvon shar » 29. Jul 2008 21:48

Hallo zusammen!

Mir ist ja vor einem guten Monat eine Gyne regelrecht zugelaufen - echt faszinierend, kaum Beschäftigt man sich mit Ameisen und hat auch schon welche, schon laufen einem die Biester in Massen über den Weg.

Beim Bestimmungsthread (Fremdforum) kamen nachfolgende Gattungen in Betracht, zuerst aber nochmal die Fakten zusammen gefasst:

Zum Fundort:
Wohnsiedlung im Randgebiet von München auf einem Balkon im EG - Felder sind recht nahe vorhanden.

Zeitpunkt:

22. Juni 08
ca. 16:30

Wetter:
20.06: trocken, warm, teilweise bewölkt
21.06: trocken warm, viel Sonnenschein
22.06: trocken, leicht schwül, kaum Wolken

Sonstiges:
Wegen einer Ameisenplage wurde vor kurzem rund um das Haus vermutlich ein Pestizid ausgestreut. War, laut Angaben meiner Mutter irgendein weißliches Pulver. Die Plage erstreckte sich auf eine größere Menge an fougarierenden Ameisen auf den Balkonen.

Gyne:
ca. 8,5mm lang
flügellos

Folgende Arten kommen vermutlich in Betracht:
Lasius brunneus
Lasius alienus
Lasius flavus
Lasius psammophilus

Vorhaben:
Da es eben unklar ist und ohne entsprechendes Wissen und Ausrüstung eine Sichere Bestimmung nicht möglich ist, werde ich sie nun in einem RG gründen lassen und mal abwarten, wie die Pygmäen/Arbeiterinnen aussehen und zu gegebener Zeit und Menge dann ggf. (L. flavus wäre ja recht einfach bei den Arbeiterinnen zu bestimmen, entsprechend der Färbung) zwei bis drei an eine entpr. Organisation bzw. Fachmann schicken zur Bestimmung, sofern es nicht zu kostenintensiv ist
Sollte es sich um eine L.b. handeln, werde ich sie wieder ausquartieren, was ja kein Problem dar stellt, da ich sie ja hier in der Gegend gefunden hatte.
Sollte es z.B. L. flavus oder L. alienus sein, werde ich sie vermutlich behalten oder evtl. an ein gutes Plätzchen weiter geben, da ich gestern meine Camponotus ligniperda-Gyne (wurde bei einem Schwarmflug gefunden - Haltungsbericht folgt) bekommen habe und ich mehr als zwei Kolonien eigentlich nicht halten möchte, da schon zwei bei entsprechender Größe (möchte sie ja nicht, nach zwei, drei Jahren wieder abgeben, so wie es ja scheinbar oft praktiziert wird) ausreichend Beschäftigung fordern und Arbeit bedürfen.
Aber so wie ich mich kenne werde ich mich von Ihr dann nicht trennen können, sofern es nicht eine Hausameise ist. :rolleyes:

Der Anfang:

21.06.08
Als ich an dem Tag bei meiner Mutter auf dem Balkon (EG) saß, sah ich plötzlich, wie über die Balkonbrüstung irgendetwas großes angekrabbelt kam.
Ich sah hin und erkannte sofort, daß es eine Gyne ist - hab sie dann auf meine Hand bugsiert. Auf dem Arm war sie auch zum Glück nicht so schnell, wegen den Haaren, als wie auf der glatten Betonbrüstung - war ja schließlich nicht 100%ig darauf gefasst und so musst mein Stiefvater erst meine provisorische "Ameisensuchenundfindenausrüstung" holen. Darin hatte ich bereist ein pseudo-RG vorbereitet - ein Stück 10er PVC-Schlauch, auf der einen Seite bereits mit Mini-Wassertank.

Nachdem ich mir fest vorgenommen hatte, eine selbst gefundene Gyne "natürlich" gründen zu lassen, d.h. sie in ein fertiges kleines Formicarium mit Ytong-Nest und RG-Nest setzten und selber entscheiden zu lassen, ich aber auf so einen schnellen Fund nicht gefasst war, war folglich das Formicarium, geschweige denn das Nest fertig. Entsprechend, etwas zugegebener Maßen leichtgläubig und mit der Hoffnung an dem Abend noch was halbwegs brauchbares fertig zu bekommen, lege ich eine Sonderschicht ein - fertig wurde ich natürlich nicht. :(
Entsprechend verbrachte sie die Nacht in dem Pseudo-RG - hatte noch Gedanken angestellt, ob ich sie ins Bad mit Licht stellen sollte, damit sie nicht denkt, wenn es dunkel ist daß sie in einem Nest ist, entschloss mich dann aber doch, um sie nicht zu sehr zu stressen (denke mal, 24Std Dauerlicht ist nicht das wahre), offen, also nicht abgedeckt ans Fenster zu stellen, da es doch recht sternenklar und entsprechend Hell draußen war.



22.06.08
Tjo, leider war die Gyne da gänzlich anderer Meinung und hatte über Nacht bereits Eier gelegt, fünf Stück an der Zahl.
Ich entschloss mich, bedingt auch nach der "Pleite von gestern", sie dann doch in ein RG zu setzten.
Leider war auch dahingehend die Gyne absolut völlig anderer Meinung.
Sie hat sich zwar kurz, wohl eher kontrollierend für die nun entstandene Öffnung interessiert, zog es dann aber in fast schon alter Lasius niger-Manier vor, vehement an Ort und Stelle zu bleiben und entpuppte sich als extremst Überzeugungsresistent...und ich mich als ungeschickter Tollpatsch, was das Überzeugen der Gyne hinsichtlich Umzug betraf.
Ich sie etwas in das neue RG geklopft, sie wie der Blitz wieder in das Alte, dies zog sich einige male hin, teilweise davon unterbrochen, daß sie einfach dort blieb, wo sie war, trotz dem klopfen.
Ich dachte eigentlich, auch anhand meines Hobbys etc. daß ich geschickt und recht schnell bin, doch die Gyne war schneller und sturer.
Nach einem längeren Kampf hatte sie dann wohl gänzlich die Faxen dicke und entschied sich für die Flucht auf dem Fensterbrett, wo sie auch recht schnell wurde - um auf Nummer sicher zu gehen hatte ich es aber absichtlich dort gemacht - im Nachhinein wäre die verschlossene Badewanne wohl doch noch besser gewesen.
Ende vom Lied, nach einem längeren Kampf, die Gyne sitzte beleidigt im RG und gab nach ein paar Minuten auch den Ausbruchsversuch durch den mit Watte verschlossenen Eingang auf, versuchte dann aber sofort wieder raus zu kommen, sobald das RG in Bewegung kam und/oder die Watte entfernt wurde.
Soweit so schlecht...Gyne da, Eier dort.
Ich habe den PVC-Schlauch dann aufgeschnitten und das kleine Stück, auf dem die Eier lagen ausgeschnitten.
Immer noch schlecht, Eier hier, Gyne dort - Gyne schnell, ich langsam.
Ok, erstmal vorsichtig Watte weg nehmen - Gyne leider sehr aufmerksam und eben schnell, sodaß mir bei den ersten Versuchen nur übrig blieb, sie mit dem Wattebausch wieder "zurück zu kehren".
Irgendwann wurde es mir auch zu blöd und hab erstmal einfach mein Daumen drauf, damit ich die andere Hand mit Pinzette frei hatte um die Eier rein zu bekommen.
Also Gyne in das RG-Boden (sprich Watte vom Wassertank) geklopft, schnell Daumen weg und das Stück mit den Eiern vorne rein geschoben und da war sie auch schon wieder, konnte aber noch rechtzeitig die Watte greifen und wieder hinein schieben.
Sie fand die Eier, schien sich aber nicht sonderlich für zu interessieren, machte aber einen etwas enspannteren Eindruck.
Gut, Gyne dort, Eier dort.
Nachdem ich mir das dann eine Weile angeschaut hatte, war ich, warum auch immer mit der Situation dann doch nicht so zufrieden - die, ich nenne es mal Eierschale und Gyne befanden sich direkt am Eingang, weit weg von der feuchten Watte und die Gyne machte auch keine Anstallten, die Eier neu zu sortieren bzw. umzulagern - denke, daß ich aber einfach nur nicht lang genug gewartet habe. *brummel*
Auf jeden Fall RG wieder auf und mit einem weichen Pinsel versucht, die Eier runter zu kehren und in Richtung Watte zu bugsieren. Es kam, wie es kommen musste - bin halt keine Ameise - dabei gingen zwei bis drei leider kaputt; jetzt hab ich es zumindest selber erlebt, daß die Eier absolut nicht mit Vogeleier vergleichbar sein und total empfindlich sind und zwar aneinander und am Boden kleben aber nicht da, wo ich es in dem Moment gerne gehabt hätte, am Pinsel.
So sah dann der Bestand nach der ******* Aktion wie folgt aus:
1 Gyne
2-3 Eier
3-2 Eier matsch
Nunja, die Folie noch drüber geschoben und das RG erstmal rollsicher zur Seite gelegt, um ihr Ruhe und Erholung zu gönnen.
Leider hat sie dann scheinbar die verbliebenen Eier schließlich gefressen.
Manchmal saß sie dann so auf der Watte, daß man denken könnte, das RG steht senkrecht.

Bestand:
1 Gyne
0 Eier



23.06.08
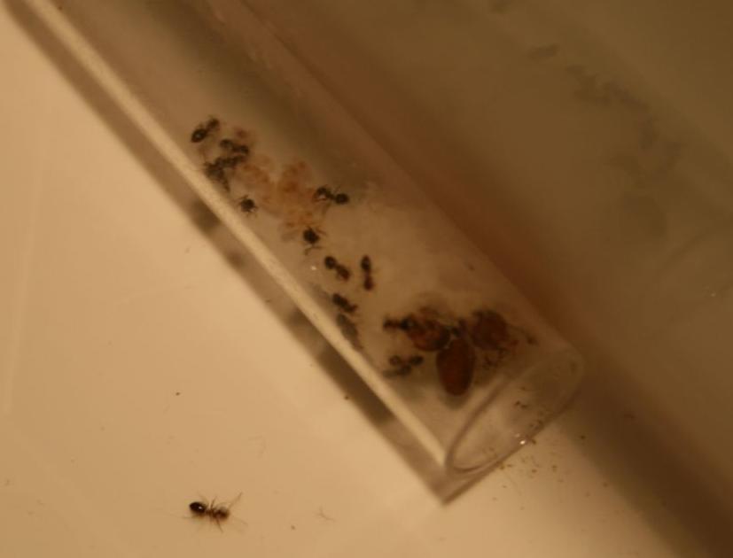
Über Nacht hat sie dann wohl wieder Eier gelegt - diese hatte ich dann bei weiteren Fotoaufnahmen zwecks Bestimmung entdeckt - habe dabei auch ein Foto, wie sie sie gerade in ihren Mandibeln zwecks Standortänderung hatte.

Bestand:
1 Gyne
ca. 4 - 5 Eier

Später gegen Abend konnte ich sie dann beim Eier legen beobachten.
Hat, grob geschätzte 3min. gedauert.
Sie sahs erstmal ganz gerade, ruhig da, putze sich zwischenzeitlich kurz am Gaster, in dem sie diesen unter sich nach vorne schob.
Sie schien erstmal "zu pressen", kleine Bewegungen am Gasterende waren zu sehen. Manchmal spitzte wohl das Ei heraus (sah zumindest so aus), verschwand aber wieder, bis sie es schließlich dann ganz heraus drückte.
Sie dreht sich sodann um, tastete es mit ihren Fühler ab, nahm es auf und lege es schließlich zu den anderen dazu.



24.06.08
Zwecks Bestimmung hatte ich an diesem Tag zum Letzten Mal Fotos gemacht - die vergangenen Tage waren schon stressig genug für sie, obwohl sie den Eindruck zu machen scheint, den ganzen Tohuwabohu der vergangenen Tage recht gut weg zu stecken. Wenn ich die rote Folie weg ziehe, nimmt sie das wohl mittlerweile recht gelassen hin.
Von gestern auf heute hat sie nochmal einige Eier nach gelegt.

Bestand:
1 Gyne
ca. 12 Eier



25.06.08
Kann sie immer wieder beobachten, wie sie versucht, einzelne Fäden aus der Watte, die den Wassertank von der Brutkammer trennt heraus zu ziehen.
Ansonsten passiert nicht viel, sie sitzt nur da, manchmal über den Eiern, manchmal daneben.
Hin und wieder wird bisschen umsortiert, das war es aber auch schon.

Da ja die nächste Zeit nicht viel passieren wird und es bisschen dauert, bis die erste Pygmäe schlüpfen wird und damit eine Arena erforderlich wird, habe ich nun erstmal Zeit, um ein kleines Formicarium mit Nest zu bauen.



29.06.08
Habe mir letztes ein kleines Aquarium für die Gyne (das große, welches ich noch habe, 600x300x300 brauche ich ja für meine Camponotus) in den Maße 400x250x250 gekauft. Kostenpunkt lag bei 14.-€.
Das Nest habe ich klein gehalten. Erstmal weiß ich eh nicht, ob sie recht schnell umziehen werden und zweitens ist es eh nicht sicher, ob ich sie behalten werde, möchte aber dennoch dann eines anbieten. Entsprechend kommt das Nest auf 150x110x100, enthält zwei Zugänge und drei Kammern plus einer ganz kleinen. Die Wasserkammer habe ich auch hier wieder mit einer eingegipsten Gase abgedeckt. Zwei Kammern, u.a. die ganz Kleine, habe ich mit insg. zwei Wattestopfen an einer Schnurr verschlossen.
Als Landschaft habe ich einen ausgetrockneten Flusslauf heraus gearbeitet. Untergrund Styrodur und Gips.
Bilder reiche ich, wenn alles komplett fertig ist nach.

Wie soll es anders sein, bei der Gyne und Ihrer Brut tut sich nicht viel.
Daß sie noch ein paar Eier zugelegt hat, möchte ich nicht ausschließen, es sieht so aus, kann sie aber zwecks Eierpaket nicht zählen.

Bestand:
1 Gyne
> 12 Eier



07.07.08
Wegen einer Reise konnte ich erst gestern bzw. heute, sprich nach einigen Tagen erst wieder kontrollieren und musste beobachten, wie die Gyne wie niedergeschlagen auf ihrer Brut saß, sich kaum rührte und die Fühler sich nurnoch ganz langsam und selten bewegten. Normal ist sie bisher immer etwas umher gelaufen bzw. hat, wenn auch gelassen aber zumindest erkennbar darauf reagiert, wenn ich die Folie zurück gezogen habe.
Ebenso meine ich eine leichte Einbuchtung an Ihrem Mesosoma erkennen zu können, wüsste aber nicht, woher sie dies hat. Sicher ist, daß sie dies zu Beginn noch nicht hatte.
Ich entschloss mich daraufhin, ihr ein Tropfen Honigwasser in das RG zu geben, auf das sie sich, als die Folie wieder das RG-Nest bedeckte sofort her machte. Sie nahm ca. eine halbe Minute lang das Honigwasser auf, putze kurz ihre Fühler und bewegte sich nun merklich agiler zu ihrer Brut zurück, um wenige Minuten später sofort wieder an dem Honigtropfen zu hängen. (Anbei, meiner Camponotus ligniperda-Gyne habe ich vorsorglich mal ein Stück Alufolie mit Honigwasser drauf in das RG geschoben)
Dies passierte heute Mittag.
Für eine Volkszählung und zur Nachkontrolle schaute ich eben nochmal nach ihr; der Honigtropfen war gänzlich und regelrecht spurlos verschwunden, als wäre nie einer da gewesen! Auch die Gyne hat jetzt wieder wie gewohnt reagiert.
Leider leider habe ich nicht mitbekommen, wann die Larven geschlüpft sind, entsprechend bleibt mir nur, derartige grobe und nicht im Ansatz zuverlässige Vermutungen zurück zu halten und entsprechend lediglich den momentanen Koloniebestand anzugeben.

Bestand:
1 Gyne
Eier: ca. 12
Larven (klein/groß): 4 / 3



14.07.08
Von allzuviel Aktivität kann ich logischer Weise nicht berichten.
Ich habe Ihr, sowie auch meiner Camponotus ligniperda-Gyne nochmals Honigwasser angeboten, letztere hatte fast schon regelrecht darauf gewartet - auf jeden Fall war nach nicht einmal ein Tag nix mehr da.
Meine Lasius spc. Gyne bediente sich ebenfalls nochmal daran, wobei noch ein kleiner Rest vorhanden ist.
Gerade seit es wieder kälter ist, sitzt die Gyne bevorzugt an der "Wattewand" zum Wasservorrat. Die Brut ist dicht aneinander aufgehäuft an die Watte gestapelt.
Die Entwicklung der Brut geht, obwohl es im Moment recht kühl ist und vergleiche ich mit meiner kleinen Lasius niger Kolonie, erstaunlich schnell voran.
Entsprechend sind seit mindestens dem 11.07.08 bereits Kokons vorhanden. Kann dies evtl. daran liegen, daß es "ja nur" die kleinen Pygmäen werden?
Seit gestern erwärme ich das RG mit einer 50W-Wärmelampe am Abend ein wenig, um die kühleren Temperaturen von ca. 20°C ein wenig zu kompensieren und so die Temperatur auf ca. 23°C anzuheben.

Abschließend kann ich den heutigen Bestand, bedingt durch die dichte Anhäufung bei der kleineren Brut nur geschätzt, wie folgt angeben.

Bestand:
1 Gyne
Eier: ca. 3
Larven (klein/groß): 1 / 2
Kokons/Puppen: ca. 7


>>> Diskussionsthema <<<


Grüßle ~Shar~
Dateianhänge
Unbenannt2.JPG
Unbenannt3.JPG
Unbenannt12.JPG
Unbenannt15.JPG
Benutzeravatar
shar
member
member
 
Beiträge: 681
Alter: 49
Registriert: 21. Jun 2008 12:04
Wohnort: Bayern
Hat sich bedankt: 0 Danke
Danke bekommen: 3 mal



Werbeanzeige: Lasius niger (Black Garden Ant)



Beitragvon shar » 29. Jul 2008 21:50

25.07.08
Von (viel) Aktivität kann ich, da noch keine Pygmäen geschlüpft sind entsprechend noch nicht wirklich berichten.
Die Entwicklung der Brut bis zum Verspinnen in den Kokon geht nach wie vor zügig voran. So hat sich die Zahl der Kokons fast verdoppelt seit dem letzten Bericht, d.h. innerhalb 11Tagen haben sich weiter ca. 7 bis 8 Larven verpuppt.
Ensprechend kann ich folgenden Bestand angeben:

Bestand:
1 Gyne
Eier: Eierpaket leider nicht zählbar
Larven: ca. 3
Kokons/Puppen: ca. 15

Um den Bericht von heute ein wenig aufzupeppen und um den Bestand eben besser zählen zu können, habe ich heute ein paar Bilder gemacht.
Mich verwundert immer noch, daß die Gyne die Störung ausgesprochen gelassen mittlerweile ja hinnimmt.

>>> Diskussionsthema <<<


Grüßle ~Shar~
Dateianhänge
gyne20.JPG
gyne21.JPG
gyne22.JPG
Benutzeravatar
shar
member
member
 
Beiträge: 681
Alter: 49
Registriert: 21. Jun 2008 12:04
Wohnort: Bayern
Hat sich bedankt: 0 Danke
Danke bekommen: 3 mal

Beitragvon shar » 29. Jul 2008 21:57

29.07.08
Der erste Nachwuchs ist nun da!!!
Von der Färbung her würde ich sagen, zwei sind etwas gestern geschlüpft und eine heute im Laufe des Tages.
Die ersten beiden bilden schon die dunkle Farbe ihres Chitinpanzers aus, die ganz Junge ist fast noch cremweiß und auf den bräunlichen Kokons teilweise schwer zu erkennen.
Ebenso wird wohl bis morgen mindestens eine weitere Pygmäe schlüpfen, den ein Kokon ist richtig dunkel und ein weiterer färbt sich auch langsam dunkel.

Entsprechend habe ich nun die Verschlußwatte heraus genommen, ein Stück Strohhalm als Gang abgeschnitten, Watte drumherum und damit dann die Brutkammer wieder "verschlossen". Nun habe ich ein kleines Stück in Honigwasser getränktem Wattebausch vor den künstlichen Nestausgang gegeben und dann das RG wie gewohnt wieder ganz verschlossen.
Bin mal gespannt, wann sie sich raus trauen - bisher sind sie noch recht ängstlich, was auch klar ist, nachdem der Panzer noch nicht ganz ausgehärtet ist.
Es ist klar, daß dies nur für den Anfang ist, bis es ein paar mehr Pygmäen sind - eine kleine richtige Arena bin ich schon am bauen.

Entwicklung:
Entsprechend ergibt sich folgende Entwicklungsdauer (+/- 2Tag)
Vom Ei bis zum Imago: 36Tage

Bestand:
1 Gyne
Eier: Eierpaket leider nicht zählbar
Larven: >3
Kokons/Puppen: ca. 12
Pygmäen: 3

>>> Diskussionsthema <<<


Grüßle ~Shar~

Bilder:
Auf den ersten drei Bildern seht ihr die Mini-Kolonie.
Auf Bild zwei und drei könnte ihr die ganz junge Pygmäe erkennen, jeweils ganz rechts. Auf dem einen schwer zu erkennen, wenn man sie aber mal gefunden hat, kann man auch ihr eines Auge erkennen.
Auf Bild 4 und 5 ist meine Mini-Arena-Konstruktion zu sehen.
Dateianhänge
nachwuchs1.JPG
nachwuchs2.JPG
nachwuchs3.JPG
miniarena1.jpg
miniarena2.jpg
Benutzeravatar
shar
member
member
 
Beiträge: 681
Alter: 49
Registriert: 21. Jun 2008 12:04
Wohnort: Bayern
Hat sich bedankt: 0 Danke
Danke bekommen: 3 mal

Beitragvon shar » 2. Aug 2008 11:47

31.07.08

Es ist weiterer Nachwuchs geschlüpft!
Entsprechend ergibt sich folgender Bestand:


Entwicklung:
Entsprechend ergibt sich folgende Entwicklungsdauer (+/- 2Tag)
Vom Ei bis zum Imago: 36Tage

Bestand:
1 Gyne
Eier: Eierpaket leider nicht zählbar
Larven: >3
Kokons/Puppen: ca. 7
Pygmäen: 9

Die Pygmäen sind leicht bräunlich gefärbt, was wohl auf Lasius brunneus schließen lässt???
Sie machen oft kurze hektische und schnelle Bewegungen, als Reaktion vom erhellen der Brutkammer.



>>> Diskussionsthema <<<


Grüßle ~Shar~
Benutzeravatar
shar
member
member
 
Beiträge: 681
Alter: 49
Registriert: 21. Jun 2008 12:04
Wohnort: Bayern
Hat sich bedankt: 0 Danke
Danke bekommen: 3 mal

Beitragvon shar » 5. Aug 2008 20:59

02.08.08

Es ist weiterer Nachwuchs geschlüpft!
Entsprechend ergibt sich folgender Bestand:
1 Gyne
Eier: Eierpaket leider nicht zählbar
Larven: >3
Kokons/Puppen: ca. 5
Pygmäen: 11

Das Verhalten bei Störung bleibt, kurze blitzschnelle abgehackte Fortbewegung. Sieht fast so aus, als hätten die Ameisen "Zuckungen" und erinnert ein klein wenig an das Verhalten der, ich glaube Gattung Formica?

Bisher hatte ich noch keine Pygmäe an dem Honig sehen können, da aber, wie man auf dem Bild (nachwuchs4.JPG) gut sieht, bei einigen die Gaster deutlich erweitert ist, denke ich, haben sie im Schutze der Dunkelheit Honigwasser aufgenommen.

Bin nach wie vor noch erstaunt über die sehr schnelle Entwicklung ihrer Brut.



03.08.08

Es ist weiterer Nachwuchs geschlüpft!
Entsprechend ergibt sich folgender Bestand:
Bestand:
1 Gyne
Eier: Eierpaket leider nicht zählbar
Larven: >3
Kokons/Puppen: ca. 3
Pygmäen: 13

Vergleiche ich diese Kolonie mit meinen Lasius niger oder Camponotus ligniperda oder schlage ich bei diversen Haltungssberichten nach, so weisen diese, obwohl die in Gegensatz zu meinen Lasius niger, als ich sie damals bekommen habe, volkärmer sind (hatte die L.n. mit 14 Arebiterinnen bekommen) eine ausgesprochene Aggressivität auf.
So hatte ich ihnen gestern in einigem Abstand zwei Sprungbeine eines Heimchens in das RG gegeben und beim ersten Mal habe ich dabei gleich mal die rote Folie weggeschoben um nach dem Rechten zu sehen und die Brut besser erkennen zu können und dabei ließen sie sich fast nicht stören, ganz im Gegenteil eine Arbeiterin, die im Eingang saß machte sich gleich mal auf dem Weg zu der Bein anstatt ins aufgedeckte Nest zu laufen.
Beim zweiten Mal haben sich gleich, wie auf den Bildern zu sehen drei auf das Bein gestürzt, dies nichtmal nach einer Minute, und ließen sich dabei in keinster Weise davon stören, daß ich das RG noch in der Hand hatte und wieder zurück gelegt habe. Es hat nichtmal zwei Minuten gedauert, als das Bein schon im Nest verschwunden war. (Bilder: 030808_01.JPG und 030808_02.JPG)

Desweiteren sind teilweise sogar mehr Pygmäen "ausserhalb" des Nestes unterwegs, als bei meinen Lasius niger.
Ob dieses Verhalten evtl. dadurch auch bedingt ist, daß die Außenwelt sich auf ein kleines Stück im RG beschränkt weis ich nicht.

Am Tag drauf, also am 04.08 habe ich nochmals ein Sprungbein von einem Heimchen angeboten, welches auch sehr schnell bemerkt und in das Nest gebracht wurde.

Heute, also am 05.08 habe ich eine zufällig halb zerquetschte Frucht-/Obstfliege noch angeboten, die ebenso schnell verschwunden ist.


An der Stelle: Sollte sich jemand für diese Kolonie interessieren, der kann sich gerne bei mir via PN melden. (Kein Versand ins Ausland, kein Versand bei, auch angekündigten Temperaturen von über 30°C bei mir oder am Zielort)


Entwicklung:
Entsprechend ergibt sich folgende Entwicklungsdauer (+/- 2Tag)
Vom Ei bis zum Imago: 36Tage


>>> Diskussionsthema <<<


Grüßle ~Shar~
Dateianhänge
nachwuchs4.JPG
030808_01.JPG
030808_02.JPG
Benutzeravatar
shar
member
member
 
Beiträge: 681
Alter: 49
Registriert: 21. Jun 2008 12:04
Wohnort: Bayern
Hat sich bedankt: 0 Danke
Danke bekommen: 3 mal

Beitragvon shar » 9. Aug 2008 17:42

09.08.08

Da es nicht viel zu Berichten gibt, nur ein kleiner Zwischenstand und zwei Bilder.
Weiterer Nachwuchs geschlüpft!
Nach nun fast 50 Tage, seit der Gründung kommt die kleine Kolonie auf folgenden Bestand:

1 Gyne
Eier: Eierpaket leider nicht zählbar
Larven: >10
Kokons/Puppen: ca. 2
Pygmäen: 16




An der Stelle: Sollte sich jemand für diese Kolonie interessieren, der kann sich gerne bei mir via PN melden. (Kein Versand ins Ausland, kein Versand bei, auch angekündigten Temperaturen von über 30°C bei mir oder am Zielort)


Entwicklung:
Entsprechend ergibt sich folgende Entwicklungsdauer (+/- 2Tag)
Vom Ei bis zum Imago: 36Tage


>>> Diskussionsthema <<<


Grüßle ~Shar~
Dateianhänge
090808 01.JPG
090808 02.JPG
Benutzeravatar
shar
member
member
 
Beiträge: 681
Alter: 49
Registriert: 21. Jun 2008 12:04
Wohnort: Bayern
Hat sich bedankt: 0 Danke
Danke bekommen: 3 mal

Beitragvon shar » 12. Aug 2008 18:53

10.08.08

Gibt nach wie vor nicht viel zu erzählen, jedoch hab ich ihnen heute mal ein ganzes Heimchen angeboten, welches, zu meiner Verwunderung sogar durch den Strohhalm in das Nest geschafft wurde.
Muss sagen, die Zusammenarbeit bei den Kleinen klappt deutlich besser als bei meinen Lasius niger-Volk in der gleichen Stärke bzw. sogar bis noch vor kurzem (ca. 20-25 Individuen), sprich die Rekrutierung ist bereits jetzt deutlich zu erkennen. (Bilder 100808 01.JPG bis 100808 05.JPG - leider spuckt das Forum die Bilder in willkürlicher Reihenfolge aus und nicht so, wie ich sie hochgeladen habe)

Ich werde nun eine längere Pause bis zu den nächsten Proteine-Angebot einlegen, da sie mit dem Heimchen eben auch jetzt erstmal vollends Versorgt sein sollten.
Honig und Wasser biete ich natürlich weiter an.


1 Gyne
Eier: Eierpaket leider nicht zählbar
Larven: >10
Kokons/Puppen: ca. 2
Pygmäen: 16



An der Stelle: Sollte sich jemand für diese Kolonie interessieren, der kann sich gerne bei mir via PN melden. (Kein Versand ins Ausland, kein Versand bei, auch angekündigten Temperaturen von über 30°C bei mir oder am Zielort)


Entwicklung:
Entsprechend ergibt sich folgende Entwicklungsdauer (+/- 2Tag)
Vom Ei bis zum Imago: 36Tage


>>> Diskussionsthema <<<


Grüßle ~Shar~[/quote]
Dateianhänge
100808 01.JPG
100808 02.JPG
100808 03.JPG
100808 04.JPG
100808 05.JPG
Und so sah es nach gut 20min. aus.
100808 06.JPG
Ansonsten auch bei dieser Kolonie schön zu sehen, die Dehnungsstreifen der vollen Gaster - sprich die Nahrungsversorgung ist ausreichend vorhanden.
100808 06.JPG (10.27 KiB) 7896-mal betrachtet
Benutzeravatar
shar
member
member
 
Beiträge: 681
Alter: 49
Registriert: 21. Jun 2008 12:04
Wohnort: Bayern
Hat sich bedankt: 0 Danke
Danke bekommen: 3 mal

Beitragvon shar » 22. Aug 2008 21:07

18.08.08

Gibt nach wie vor nicht viel zu erzählen - die ganzen letzen Tage war es sehr ruhig bei mir. Kaum Ameisen zu sehen, alle in ihren Nester verkrochen, als ob sie sich auf die Winterruhe einstellen würden.
Entsprechend habe ich überall mal versucht herauszufinden, ob noch Eier vorhanden sind.
Bei diesen hier natürlich sehr einfach; wie man auf den Bildern sieht, sind im Moment keine Larven mehr vorhanden, dafür einiges an Kokons, sowie eben auch ein kleiner Haufen Eier.

Entsprechend sieht der Bestand im Moment wie folgt aus:

1 Gyne
Eier: Eierpaket mit ca. 13 Eiern
Larven: 0
Kokons/Puppen: ca. 18
Pygmäen: 16

Ich werde mal bei gegebener Zeit mir die Arbeiterinnen mal genau anschauen und miteinander vergleichen, ob evtl. schon "richtige", große Arbeiterinnen darunter sind oder ob die Kolonie noch kplt. aus Pygmäen besteht.

Bei meiner heutigen Raubtierfütterung habe ich den Kleinen ca. ein gutes 1/2 einer kürzlich verpuppten und im Kühlschrank gelagerten Pinky-Made (natürlich komplett, den Rest haben, zusammen mit einer Stubenfliege meine Camponotus ligniperda bekommen) angeboten, die wie man auf den Bilder sieht gut angenommen wird.
Natürlich habe ich sie ebenso vorher überbrüht.

Zum Verfüttern haben es mir, glaube ich, diese verpuppten PinkyMaden angetan. Ist wie ein fetter Batzen Proteine, verpackt in einer dünnen Schale, ohne irgendwelche Flügel, Beine etc. dran.


An der Stelle: Sollte sich jemand für diese Kolonie interessieren, der kann sich gerne bei mir via PN melden. (Kein Versand ins Ausland, kein Versand bei, auch angekündigten Temperaturen von über 30°C bei mir oder am Zielort)


Entwicklung:
Entsprechend ergibt sich folgende Entwicklungsdauer (+/- 2Tag)
Vom Ei bis zum Imago: 36Tage


>>> Diskussionsthema <<<


Grüßle ~Shar~
Dateianhänge
180808 01.JPG
180808 02.JPG
180808 03.JPG
180808 04.JPG
180808 05.JPG
180808 06.JPG
180808 07.JPG
180808 08.JPG
Benutzeravatar
shar
member
member
 
Beiträge: 681
Alter: 49
Registriert: 21. Jun 2008 12:04
Wohnort: Bayern
Hat sich bedankt: 0 Danke
Danke bekommen: 3 mal

Re:

Beitragvon shar » 26. Okt 2008 12:55

26.10.08

Hier hat sich hinsichtlich Koloniegröße einiges getan.
Der Schwung Kokons sind nun alle geschlüpft und, bedingt durch den engen Raum ist nun ein Zählen fast unmöglich, noch dazu, da sich auch einige in dem Strohhalmdurchgang aufhalten.
Die Aktivität an sich hat ebenso stark nachgelassen, trotz der noch milden Temperaturen. Ebenso ist kaum Brut vorhanden. Ich vermute, daß dies mit dem Proteinangebot zusammen hängt, da ich diesen doch deutlich zurück gefahren habe. "Kalt gestellt" werden sie dann, wie meine Camponotus in den nächsten Tagen.
An einer Seite der Watte scheint sich Schimmel zu bilden, zumindest verfärbt sie sich so schimmelbläulich; auch Richtung Wassertank hin.
Denke mal, dies kommt durch Nahrungsreste die dort angesammelt/liegen gelassen wurden. Da das Volk dadurch aber scheinbar nicht beeinträchtigt ist, werde ich erstmal nix unternehmen.

Wie man auf den Bildern gut erkennen kann, sind alle wohl genährt und haben umfangreiche Vorräte in ihren Gastern bzw. soz. Mägen angelegt.
Unten links ist auch leicht die bläuliche Färbung der Watte zu erkennen.

131008 01.JPG
131008 02.JPG


Die andere Aufnahme zeigt, wie sie dabei versucht sind ein Heimchen in ihr Nest zu bekommen - logischer Weise war die Beute dann doch zu groß und wurden schließlich vor dem Nesteingang liegen gelassen und an und ab besucht.

270908 01.JPG


Bestand:
1 Gyne
Eier: keine erkennbar
Larven: ca. 8
Kokons/Puppen: ca. 2
Pygmäen: ca. 35-45


An der Stelle: Sollte sich jemand für diese Kolonie interessieren, der kann sich gerne bei mir via PN melden. (Kein Versand ins Ausland, kein Versand bei, auch angekündigten Temperaturen von über 30°C bei mir oder am Zielort)


Entwicklung:
Entsprechend ergibt sich folgende Entwicklungsdauer (+/- 2Tag)
Vom Ei bis zum Imago: 36Tage


>>> Diskussionsthema <<<


Grüßle ~Shar~
Benutzeravatar
shar
member
member
 
Beiträge: 681
Alter: 49
Registriert: 21. Jun 2008 12:04
Wohnort: Bayern
Hat sich bedankt: 0 Danke
Danke bekommen: 3 mal

Beitragvon shar » 28. Jan 2009 23:01

28.01.09

Mal ein kurzer Ziwschenbericht.
Es hat sich in der Koloniestärke einiges getan. Für genaue Zahlen habe ich aber leider keinen ausreichend Einblick mehr in das Nest.
Sie haben im RG die Watte regelrecht abgebaut und formen mit den kleinen Flusen durch Ankleben an das RG Kammern aus, weswegen ich eben keinen vollständigen Einblick mehr habe.
Ich schätze die Population auf irgendwas zw. 50 und 60, ob ich damit halbwegs richtig liege, ist eben im Moment kaum noch zu beurteilen.

Der Wassertank des RG ist zwischenzeitlich auch ausgetrocknet, weswegen ich sie nun in eine provisorische Arena gegeben habe, um so weiter Wasser anbieten zu können.
280109 01.jpg

280109 03.jpg

Die "Wassertränke" in Form eines kleinen kurzen RG mit Wattestopfen wurde auch sehr schnell bei den ersten Erkundungen ausgemacht und kurz darauf immer wieder von Ameisen besucht.
Mittlerweile ist es so, daß sie dort ein Zweignest angelegt haben und dort nun einige Larven lagern, die immer von mindestens fünf bis teilweise acht Arbeiterinnen versorgt und "bewacht" werden.
Selbst als ich gestern mal etwas gegen das Wasser-RG geklopft und dieses dann sogar aus der Arena genommen habe um es mir genau anzusehen, sind fünf tapfer bei der Brut verharrt, während zwei andere das Weite suchten.
Dabei legte ich sodann ein neues Wasser-RG in die Arena, da das andere zwar noch feucht aber der Tank selber schon leer war.
Nach einiger Zeit als wieder Ruhe einkehrte, wurde die gesamte Brut ins Nest zurück gebracht.

Heute morgen dann wieder der Urzustand, einige Arbeiterinnen und Larven im leeren aber noch immer feuchtem Wasser-RG.
280109 02.jpg

280109 04.JPG

Auch ist die Außenaktivität allgemein schon recht hoch, so habe ich heute 12 Arbeiterinnen, die in der Arena unterwegs waren, zählen können.

Der Bedarf an Nahrung, vor allem an Proteinen ist mittlerweile spürbar angestiegen.
So habe ich die letzten sechs bis sieben Tage drei Fliegenlarvenhälften verfüttert, davon heute die Dritte. Die letzten beiden wurden fein säuberlich ausgefressen, ohne das etwas übrig gelassen wurde.
Über die Dritte haben sie sich auch sofort gestürzt - hat nicht einmal eine Minute gedauert, waren schon zwei Arbeiterinnen dabei, die Hülle auszuweiden.

Bisher würde ich behaupten, sind sie weitaus aktiver und schätzungsweise etwas gleich auf von der Population her, als meine Lasius niger-Kolonie (Gyne + 14 Arbeiterinnen), die ich bereist vor dem Fund dieser Gyne hier hatte.

Müll wird nicht irgendwo aufgeschichtet oder vom Nest weg gebracht, wie man auf den Bildern sehen kann. Er verbleibt da, wo er eben liegt.
Um zu verhindern, daß eine weitere Puppenhülle ins RG kommt, habe ich die zweite und dritte Hälfte jenseits des 2. RGs (dies soll ein umher rollen des Nest-RG verhindern und bietet gleichzeitig noch mehr Lauffläche)angeboten.
Wie immer, wurde viel Zeit investiert, die Beute direkt zum Nest zu bringen. So blieb es auch nicht aus, daß die Arbeiterinnen versuchten die Puppenhälfte durch den kleinen, vielleicht 2mm großen Spalt zw. 2.RG und Boden zuquetschen.
Ende vom Lied, die 2. Puppenhülle liegt nun zw. 2.RG und Nest-RG, kurz an einer Stelle wie auch auch wieder nur schlecht hin komme aber immer hin nicht wieder im Nest-RG, welches ich nur leeren kann, indem ich es entnehme.


Bestand:
1 Gyne
Eier: ??
Larven: ??
Kokons/Puppen: ??
Pygmäen: ??


An der Stelle: Sollte sich jemand für diese Kolonie interessieren, der kann sich gerne bei mir via PN melden. (Kein Versand ins Ausland, kein Versand bei, auch angekündigten Temperaturen von über 30°C bei mir oder am Zielort)


Entwicklung:
Entsprechend ergibt sich folgende Entwicklungsdauer (+/- 2Tag)
Vom Ei bis zum Imago: 36Tage


>>> Diskussionsthema <<<


Grüßle ~Shar~
Benutzeravatar
shar
member
member
 
Beiträge: 681
Alter: 49
Registriert: 21. Jun 2008 12:04
Wohnort: Bayern
Hat sich bedankt: 0 Danke
Danke bekommen: 3 mal

Re:

Beitragvon shar » 10. Feb 2009 21:09

10.02.09

Kurzer Ziwschenbericht.
Die kleine Kolonie hat nun ein Zweignest errichtet, vermutlich aus Gründen des ausgetrockneten Wassertanks im RG-Nest.
Ich biete Wasser ja in kleinen ca. 4-5cm langen RG an, die wie bei einem RG-Nest auch, mit Watte verschlossen wurden, sodaß die Watte feucht ist, das Wasser im Tank aber nicht ausläuft.
Nun haben sich die Kleinen dazu entschlossen, sich hinter die Watte von so einem Wasserspender zu graben.
Es endete zum Glück in keinem Debackel, da die Watte zwar noch gut feucht aber der Tank an sich leer ist.
Dort wird nun ein Teil der Larven gelagert, auf der anderen Seite der Watte, also außen, haben sie das Futter angehäuft.
Teilweise wurden die Larven auch direkt in die Fliegenpuppen gegeben.

100209 02.jpg
100209 03.jpg
100209 04.JPG
100209 01.JPG


Bestand:
1 Gyne
Eier: ??
Larven: ??
Kokons/Puppen: ??
Pygmäen: ??


An der Stelle: Sollte sich jemand für diese Kolonie interessieren, der kann sich gerne bei mir via PN melden. (Kein Versand ins Ausland, kein Versand bei, auch angekündigten Temperaturen von über 30°C bei mir oder am Zielort)


Entwicklung:
Entsprechend ergibt sich folgende Entwicklungsdauer (+/- 2Tag)
Vom Ei bis zum Imago: 36Tage


>>> Diskussionsthema <<<


Grüßle ~Shar~
Benutzeravatar
shar
member
member
 
Beiträge: 681
Alter: 49
Registriert: 21. Jun 2008 12:04
Wohnort: Bayern
Hat sich bedankt: 0 Danke
Danke bekommen: 3 mal




Werbeanzeige: Lasius niger (Black Garden Ant)


Zurück zu Lasius - Information

Wer ist online?

Mitglieder in diesem Forum: 0 Mitglieder und 0 Gäste